Resultados da pesquisa

alteração no trânsito

Thumbnail

Epig passa por novas mudanças no trânsito na altura do SIG

Motoristas que trafegam pela via Epig, na altura do Setor de Indústrias Gráficas (SIG), devem ficar atentos a duas importantes mudanças no trânsito que passam a valer nos trechos 5 e 6 das obras do corredor exclusivo de ônibus. As alterações fazem parte do avanço das intervenções de infraestrutura e têm como objetivo garantir mais fluidez e segurança viária durante a execução dos serviços. A primeira mudança diz respeito ao novo trajeto de acesso à Epig pelas vias que passam por trás do SIG. O fluxo nos dois sentidos da via já está totalmente liberado e em operação, oferecendo uma alternativa organizada e segura para quem acessa a via naquela região. Confira:  Outra alteração importante ocorre no trecho da Epig em frente ao SIG, onde haverá mudança no funcionamento da faixa reversa. O início da faixa reversa será feito sobre o novo viaduto recém-construído, o que representa um ganho significativo na organização do tráfego e na fluidez dos deslocamentos nos horários de pico. Veja:  “À medida que os serviços evoluem, novos trechos são liberados para o tráfego, sempre com o cuidado de manter a segurança dos motoristas e a funcionalidade da via. As obras do corredor exclusivo de ônibus da Epig seguem avançando dentro do cronograma estabelecido pela Secretaria de Obras e Infraestrutura (SODF), e a previsão de entrega permanece a mesma: no segundo trimestre de 2026”, destacou o secretário de Obras, Valter Casimiro. O corredor exclusivo de ônibus da Epig é uma das principais obras de mobilidade em andamento no Distrito Federal e vai transformar a dinâmica do transporte público na região, garantindo mais rapidez aos usuários, além de melhorias na infraestrutura viária, com novos viadutos, pavimento rígido e reorganização completa do tráfego. A Secretaria de Obras e Infraestrutura reforça que todas as mudanças são devidamente sinalizadas e orienta os motoristas a redobrarem a atenção ao trafegar pelo trecho em obras | Foto: Divulgação/SODF A Secretaria de Obras e Infraestrutura reforça que todas as mudanças são devidamente sinalizadas e orienta os motoristas a redobrarem a atenção ao trafegar pelo trecho em obras, respeitando a sinalização e as orientações dos agentes de trânsito. *Com informações da SODF

Ler mais...

Thumbnail

Alterações no trânsito noturno da Ponte JK para obras de manutenção

A partir desta quarta-feira (14), o trânsito na Ponte JK passará por modificações, de segunda a sexta-feira, das 21h às 4h, devido a obras de manutenção realizadas pela Novacap. O prazo estimado para a conclusão dos trabalhos é de cerca de 90 dias. Para viabilizar as obras, o Detran-DF implementará medidas de controle de tráfego, com o fechamento parcial das faixas durante o período das intervenções | Foto: Flávio Maciel/Detran-DF O objetivo das intervenções será a substituição das juntas de dilatação da ponte, visando melhorar a segurança e a durabilidade da estrutura. Para viabilizar as obras, o Detran-DF implementará medidas de controle de tráfego, com o fechamento parcial das faixas durante o período das intervenções.  O bloqueio ocorrerá em duas fases: Fase 1: Interdição das faixas direita e central no sentido Plano Piloto. Fase 2: Interdição das faixas esquerda e central, também no sentido Plano Piloto. Durante todo o período das obras, a sinalização será intensificada para garantir a segurança dos motoristas e a orientação adequada aos condutores. *Com informações do Departamento de Trânsito do Distrito Federal (Detran-DF)

Ler mais...

Thumbnail

Eventos alteram o trânsito neste fim de semana

Em razão de eventos esportivos e culturais que serão promovidos no sábado (15) e domingo (16) as equipes de fiscalização do Departamento de Trânsito (Detran-DF) farão intervenções no trânsito do Eixo Monumental, Gama, Riacho Fundo e Vila Planalto. Eixo Monumental Neste sábado, por causa da 10ª edição da Corrida do Sinpro, o Detran-DF fará interdições no Eixo Monumental. O evento esportivo contará com corrida, caminhada e passeio ciclístico, com percursos de 5 km. A largada e a chegada ocorrerão na Praça do Palácio do Buriti. A partir das 18h, os agentes de trânsito farão a interdição de três faixas das vias S1 e N1, próximas ao canteiro central, entre o Centro de Convenções Ulysses Guimarães e a via de ligação S1/N1, localizada entre a Catedral Rainha da Paz e a Praça do Cruzeiro. As demais faixas permanecerão liberadas para o tráfego de veículos. A previsão é que as interdições ocorram até as 23h40. Eixo Monumental e Eixos Rodoviários Sul e Norte Devido ao evento esportivo BSB Half Marathon, no domingo, a partir das 5h30, o Detran-DF fará interdições no Eixo Monumental. O evento contará com percursos de caminhada e corrida, pelas vias N1, Eixão Sul e Eixão Norte, com público estimado de 5 mil pessoas. A saída dos participantes será a partir das 6h. A largada das corridas de 10 km e 21 km ocorrerá na Praça do Cruzeiro, e a chegada, no Eixão Norte, na altura Quadra 205. Os percursos de 3 km e 5 km terão largada e chegada no Eixão Norte, na altura Quadra 205. A partir das 5h30, os agentes do Detran-DF farão o bloqueio de quatro faixas, próximo ao canteiro central da via N1, desde a Praça do Cruzeiro até a altura da Arena BRB Mané Garrincha. As demais faixas ficarão liberadas para o tráfego de veículos. Já o trecho entre o Eixo Cultural Ibero-Americano e o Shopping Conjunto Nacional ficará totalmente interditado, sendo destinado aos participantes do evento. O fluxo de veículos da N1 será desviado para a alça oeste da Rodoviária. O Departamento de Estradas de Rodagem (DER-DF) fará o fechamento da alça de acesso do ERWN para o Eixão Norte. O fluxo de veículos será desviado para a plataforma superior da Rodoviária. A previsão é que as vias sejam liberadas às 9h. Gama No domingo, devido à corrida Circuito Esporte, Saúde e Bem-Estar, a partir das 6h, as equipes de fiscalização do Detran-DF farão interdições em vias do Gama. O evento contará com percursos de 5 km e 10 km. A largada e a chegada ocorrerão no gramado ao lado da 14ª Delegacia de Polícia, próximo à Quadra 8, conjunto B do Setor Central do Gama. Durante o trajeto, os atletas seguirão pela via em direção ao Hospital Regional do Gama e acessarão a via que passa em frente ao Colégio Ceman, na entrequadra 31/32. Eles farão o retorno em frente à Quadra 33 e seguirão em direção ao Hospital Regional, retornando ao ponto de partida. O trajeto ficará interditado das 6h às 10h, com trechos exclusivos para os corredores e outros compartilhados com os veículos. Durante o evento, agentes do Detran-DF atuarão no local para garantir a segurança e fluidez do trânsito. Riacho Fundo No domingo, das 9h às 16h, ocorre a Rua do Lazer do Riacho Fundo. Em razão do evento, às 6h, o Detran-DF fará a interdição do trânsito na Avenida Cedro, desde o Instituto Federal de Brasília (IFB) até a altura da Capela Santos Anjos da Guarda. As equipes do Detran-DF farão patrulhamento na região para garantir a fluidez e segurança no trânsito. Vila Planalto No sábado, ao meio-dia, em virtude do evento de pós-Carnaval Bloco Ressaca STZ, o Detran-DF fará a interdição de um trecho da Avenida Rabelo, na Vila Planalto. O bloqueio ocorrerá entre a Rua do Ceará e a Rua Maranhão. Durante o evento, as equipes de fiscalização do Detran-DF atuarão na região para garantir a fluidez do trânsito e coibir infrações. *Com informações do Departamento de Trânsito do Distrito Federal (Detran-DF)

Ler mais...

Thumbnail

Reforma em via que liga a N2 à S2, na Esplanada dos Ministérios, altera trânsito na região

O Governo do Distrito Federal iniciou, na terça-feira (4), a reforma da pista que faz a ligação entre as vias N2 e S2, na Esplanada dos Ministérios. O trecho tem 600 metros e costuma ser utilizado por motoristas que desejam seguir da L2 Norte para a L2 Sul – e vice-versa. Arte: Fábio Nascimento/Agência Brasília Durante as obras, feitas pelo Departamento de Estradas de Rodagem do Distrito Federal (DER-DF), o trânsito no local será afetado. Inicialmente, o fluxo de veículos foi interrompido no sentido Norte-Sul. Depois, quando a reforma desse trecho for concluída, a interrupção será feita no sentido Sul-Norte. A orientação é que os motoristas sigam pela parte de cima da Esplanada dos Ministérios. A previsão é de que os trabalhos durem 90 dias, sendo 45 em cada sentido. A pista, formada por placas de concreto, nunca havia recebido uma reforma desse porte. “Brasília está completando agora 65 anos de idade e começa a chegar em uma idade que, se você não cuidar do que já existe, você vai perdendo o controle”, apontou o presidente do DER-DF, Fauzi Nacfur Júnior. “Nós vamos tirar as placas de concreto que estão danificadas e fazer um concreto novo pra ficar com o pavimento totalmente novo e a gente deixar aquela área, que tem tanto tempo já, desde a construção de Brasília, totalmente restaurada”, acrescentou. Um dos responsáveis pela obra, o engenheiro Jarbas Silva, do DER, detalhou que a área foi toda mapeada. As placas com danos severos serão demolidas enquanto outras ainda terão uma parte aproveitada. “Fora isso, a gente também vai fazer a resselagem das juntas para evitar aquele desconforto na transição de uma placa para outra com o rolamento dos pneus dos veículos. Em conjunto com essa ação, a Novacap [Companhia Urbanizadora da Nova Capital] vai fazer um trabalho de limpeza das bocas de lobo e um tratamento nas placas embaixo dos viadutos e na calçada do canteiro central”, explicou. A obra vai incluir, entre outras coisas, a substituição das placas com danos severos, a resselagem das juntas e a limpeza das bocas de lobo | Foto: Joel Rodrigues/Agência Brasília A obra na via de ligação integra um conjunto de trabalhos de manutenção de pavimentos de concreto em todo o DF. Outros exemplos são o Buraco do Tatu – que liga o Eixão Norte ao Eixão Sul e onde foi redescoberto o Marco Zero de Brasília – e a faixa exclusiva para ônibus da Estrada Parque Taguatinga (EPTG). O contrato para todas essas reformas prevê investimento de R$ 13,5 milhões. “O objetivo é prolongar ainda mais a vida útil desse pavimento de concreto e proporcionar mais conforto aos usuários, aos motoristas, porque que a gente vai eliminar todos esses desníveis e deixar as placas mais uniformes”, arrematou o engenheiro.

Ler mais...

Thumbnail

Corridas de rua impactam trânsito no fim de semana

No sábado (5) e no domingo (6), os agentes do Departamento de Trânsito do Distrito Federal (Detran-DF) farão intervenções no trânsito de veículos para garantir a segurança dos atletas que participarão de quatro corridas de rua em São Sebastião, em Samambaia, no Sudoeste e no Parque da Cidade. Pink For Life Run Artes: Divulgação/ Detran-DF No sábado, das 17h às 19h30, os agentes de trânsito farão interdições e controle do trânsito no Sudoeste, para a segurança dos participantes da corrida Pink For Life Run. O local de concentração, largada e chegada dos atletas será no Parque Bosque do Sudoeste. As duas faixas no sentido horário da 3ª e da 4ª Avenidas serão utilizadas pelos corredores, ficando interditadas para o tráfego de veículos. Serão fechadas a rotatória da 3ª Avenida com a 4ª Avenida e a rotatória de acesso à Quadra 500, na 3ª Avenida. O acesso à 3ª Avenida pela S1 também ficará fechado até o final da corrida, previsto para as 19h30. O Ano Todo Rosa No domingo, das 7h às 10h, haverá intervenções no Parque da Cidade para a realização da corrida O Ano Todo Rosa. O local de concentração, largada e chegada dos corredores será no estacionamento 7, e o percurso seguirá no sentido horário. A partir das 7h30, as vias de acesso à corrida serão fechadas para o tráfego de veículos. As rotatórias de acesso ao parque pela 913 Sul e pela 911 Sul também ficarão fechadas até o final do evento, previsto para as 10h. Kids W6 A partir das 12h de sábado, estará fechada a avenida em frente ao Centro Olímpico de São Sebastião até a altura da 30ª Delegacia de Polícia, para a montagem de estruturas da corrida Kids W6, que será disputada na manhã de domingo. A largada das crianças está prevista para as 8h, com distâncias de 50m, 100m, 200m e 400m. O local será liberado apenas às 12h, quando terminar o evento e forem retiradas as estruturas. As vias de acesso ao local da corrida ficarão totalmente fechadas a partir das 7h, sendo liberado o tráfego somente dos participantes e organizadores do evento. 35º aniversário de Samambaia Das 6h às 15h de domingo, haverá intervenções no trânsito de Samambaia para a realização da Corrida e da Rua do Lazer, em comemoração ao 35º aniversário da cidade. Os atletas se concentrarão próximo ao Sesc, local de largada e chegada da corrida. De lá, descerão para a 1ª Avenida Sul, utilizando todo o trecho compreendido entre o Home Center Castelo Forte e a QS 112. O trajeto ficará totalmente fechado para veículos durante a competição, das 7h às 9h, assim como os acessos residenciais e comerciais ao percurso, a fim de garantir segurança aos participantes do evento. Já o perímetro da Rua do Lazer, que se estende do Sesc até a QS 104, ficará fechado até as 15h. *Com informações do Detran-DF

Ler mais...

Thumbnail

Esplanada terá trânsito alterado no domingo (30) para competição

Para garantir a segurança dos corredores que vão competir no Circuito das Estações – Etapa Inverno, que ocorrerá na manhã deste domingo (30), o Departamento de Trânsito do Distrito Federal (Detran) fará intervenções no trânsito nas vias S1, N1 e no acesso ao Eixão Norte, das 6h30 às 11h. Imagem: Divulgação/ Detran-DF A largada e a chegada da competição serão próximo ao Museu da República, na Esplanada dos Ministérios. Por isso, a via S1 terá três faixas próximas ao canteiro central interditadas no trecho compreendido entre o Museu da República e o Congresso Nacional, onde os atletas vão se deslocar para a via N1, que também terá as três faixas próximas ao canteiro central destinadas a eles. Rua do Lazer No domingo (30), será realizada a Rua do Lazer do Guará. Devido ao evento, todos os acessos à Avenida Central do Guará II, entre a 4ª Delegacia de Polícia e o Edifício Consei, na EQ 31/33, ficarão fechados das 6h às 17h. Além de realizar as interdições na via, as equipes de fiscalização do Detran farão o controle do tráfego nas imediações do evento. Imagem: Divulgação/ Detran-DF *Com informações do Departamento de Trânsito do DF

Ler mais...

Thumbnail

Concretagem da Epig altera trânsito a partir desta quarta

Nem as chuvas do início do ano impediram o Governo do Distrito Federal (GDF) de avançar com a troca do pavimento da Estrada Parque Indústrias Gráficas (Epig). Até o momento, quatro das seis faixas de rolamento da via – três em cada sentido – já receberam trechos do novo pavimento rígido de concreto, em substituição ao asfalto que revestia a via. Com investimento de R$ 156 milhões, 140 trabalhadores atuam diariamente para garantir um deslocamento mais seguro, eficiente e confortável a quase 25 mil motoristas diários. Para o avanço das obras, a partir das 21h desta quarta-feira (17), a Epig terá o fluxo interditado logo após a alça do viaduto que dá acesso ao Setor Policial Sul, sentido Taguatinga | Foto: Lúcio Bernardo Jr./Agência Brasília Duradouro, seguro e de rápida manutenção, o pavimento rígido será aplicado ao longo dos 12 km de extensão da Epig, contemplando ambos os sentidos de deslocamento. Com a obra, a via passará a ser a segunda rodovia totalmente revestida em concreto. A primeira foi a Estrutural, cuja obra de requalificação viária contou com aporte de R$ 80 milhões do GDF. Para garantir que as obras sigam avançando na Epig, será necessário promover alterações no trânsito da rodovia. A partir das 21h desta quarta-feira (17), a via terá o fluxo interditado logo após a alça do viaduto que dá acesso ao Setor Policial Sul, sentido Taguatinga. O engenheiro civil Carlos Magno, da Secretaria de Obras e Infraestrutura do DF, explica que o bloqueio visa garantir a segurança dos trabalhadores e usuários da rodovia. “Esse bloqueio é importante para que a gente possa avançar com a concretagem. Já temos uma das faixas da via neste sentido concretadas e precisamos avançar com a pista central e a que está situada mais à direita”, detalha o executor do contrato. Com a interdição, o motorista que trafega pela Epig e deseja acessar o Setor Policial Sul deve utilizar a alça do viaduto. Já quem está na Epig, sentido Taguatinga, terá de acessar obrigatoriamente a faixa reversa. Para os condutores que desejam acessar a EPTG, o deslocamento ocorrerá pela faixa mais à direita da via na altura da Octogonal. “Esse bloqueio é importante para que a gente possa avançar com a concretagem”, diz o engenheiro Carlos Magno Há, também, mudanças no trânsito para os motoristas que estão na Epig e querem se dirigir ao Setor de Indústrias e Abastecimento (SIA) e para a Estrada Parque Indústria e Abastecimento (Epia). Estes precisarão acessar a via que dá acesso ao Terraço Shopping e seguir por dentro da Octogonal. Corredor Eixo Oeste A requalificação da Epig faz parte do Corredor Eixo Oeste, que terá 38,7 km de extensão, ligando as principais vias do Sol Nascente/Pôr do Sol ao Plano Piloto. O objetivo é reduzir para 30 minutos o tempo de deslocamento entre as duas regiões. Para isso, o GDF está construindo uma faixa exclusiva para ônibus no sistema BRT, além de nove viadutos, terminais, passagens para pedestres e ciclovias. Por questões de logística e segurança, os serviços são executados em seis, sendo que o primeiro está situado entre a interseção da EPTG com a Epig. Ele abrange a implantação de Corredor BRT, a construção de dois novos viadutos, instalação de ciclovias, obras de drenagem, pavimentação, sinalização, paisagismo, calçadas e mobiliário urbano.

Ler mais...

Thumbnail

Corrida Flores do Cerrado altera trânsito no Eixo Monumental neste domingo (10)

Trechos do Eixo Monumental serão interditados neste domingo (10) para a realização da Corrida Flores do Cerrado. O Departamento de Trânsito do Distrito Federal (Detran-DF) fará alterações no trânsito entre o Centro de Convenções Ulysses Guimarães e a Catedral Militar Rainha da Paz. Arte: Divulgação/ Detran-DF A largada e a chegada serão realizadas na Praça do Buriti. A previsão é que a saída dos participantes seja às 7h. Os atletas seguirão pela via S1 até o Centro de Convenções Ulysses Guimarães. Nesse trecho, o Detran-DF fará a interdição de quatro faixas para a corrida, enquanto duas estarão liberadas para o tráfego de veículos. Na altura do Centro de Convenções, os participantes vão acessar a via N1 e seguir até a pista de ligação próxima à Catedral Rainha da Paz, onde retornam para a S1 e seguem de volta para a Praça do Buriti. Nesse percurso, três faixas serão destinadas aos participantes do evento e três estarão liberadas para os veículos. As equipes do Detran-DF atuarão nas imediações do evento realizando o controle do tráfego e coibindo infrações de trânsito. A previsão é que as vias sejam liberadas a partir das 9h30. *Com informações do Departamento de Trânsito do Distrito Federal (Detran-DF)

Ler mais...

Rua do Lazer altera o trânsito no Guará II neste domingo

No próximo domingo (25), será realizada a Rua do Lazer do Guará. Devido ao evento, das 6h às 17h, todos os acessos à Avenida Central do Guará II, entre a 4ª Delegacia de Polícia e o Edifício Consei, na EQ 31/33, ficarão fechados. Além de realizar as interdições na via, as equipes de fiscalização do Departamento de Trânsito do Distrito Federal (Detran-DF) farão o controle do tráfego nas imediações do evento. Imagem: Divulgação/Detran-DF *Com informações do Detran-DF  

Ler mais...

Novos desvios na EPTG, sentido Eixo Monumental, começam nesta sexta (16)

Atenção, motoristas! A partir desta sexta-feira (16) começam a valer os novos desvios na Estrada Parque Taguatinga (EPTG), sentido Eixo Monumental, para dar continuidade ao serviço de concretagem das faixas. A alteração no trânsito será à noite, após o horário de pico. O trecho, na interseção da EPTG com a Estrada Parque Indústrias Gráficas (Epig), é o primeiro dos seis que passarão por obras para a expansão do Corredor Eixo Oeste até a região central do Plano Piloto. Os desvios na EPTG estão sendo feitos por trechos para dar continuidade às obras do Corredor Eixo Oeste, com implantação da faixa exclusiva para ônibus no sistema BRT | Foto: Tony Oliveira/Agência Brasília Quando as obras forem concluídas, o trecho contará com faixa exclusiva para ônibus no sistema BRT, nove viadutos, estações BRT, passagens para pedestres e ciclovias. Para dar continuidade às obras, a partir desta sexta-feira (16), o motorista que vai para o Eixo Monumental deve continuar utilizando a faixa reversa. Quem vai para o Setor Policial deve seguir pela pista de concreto mais à esquerda da via. Já para quem deseja acessar o Setor Policial via marginal, é necessário se dirigir pela via principal da EPTG, tendo em vista que o acesso pela marginal estará bloqueado. Agora, se o motorista quiser ir para a Estrada Parque Indústria e Abastecimento (Epia) Sul ou Norte, é necessário pegar o acesso pela marginal. [Relacionadas esquerda_direita_centro=”direita”] Por fim, quem está na Epia e quiser acessar o Eixo Monumental ou o Setor Policial, é necessário utilizar as vias que circundam a Octogonal, tendo em vista que a alça situada ao lado da Polícia Rodoviária Federal estará interditada. De acordo com o secretário de Obras, Luciano Carvalho, a expectativa é que as liberações no trânsito ocorram gradativamente. “Num primeiro momento, apenas a faixa reversa e a faixa mais à esquerda estarão liberadas para o trânsito de veículos. No entanto, à medida que a concretagem das demais faixas for concluída, vamos liberar para o trânsito de carros. Essa medida certamente vai minimizar o impacto no trânsito causado pelo desvio”, afirmou.

Ler mais...

Ponte Honestino Guimarães passará por intervenções durante a semana

O tráfego de veículos na Ponte Honestino Guimarães será interditado parcialmente nesta terça-feira (22), das 20h às 22h. Os motoristas passarão pela faixa lateral direita nos sentidos Plano-Piloto-Lago Sul, com apoio de sinalização e agentes de trânsito. A faixa lateral esquerda e a faixa central estarão fechadas. O Departamento de Trânsito do Distrito Federal (Detran-DF) ficará responsável por organizar a fluidez do trânsito. Reforma da Ponte Honestino Guimarães tem investimento de R$ 13,7 milhões e motiva mudanças no trânsito para a execução de serviços | Foto: Lúcio Bernardo Jr./Agência Brasília Ao fim da interdição, os veículos passarão pela faixa central, no sentido Lago Sul-Plano Piloto, e na faixa lateral direita, no sentido contrário. Atualmente, a faixa central está interditada e os veículos trafegam apenas nas faixas laterais esquerda e direita. As datas e horários de interdição foram definidos de forma a minimizar o impacto no fluxo de veículos. A medida é necessária para a continuação da reforma da ponte. Segundo o diretor de Edificações da Companhia Urbanizadora da Nova Capital (Novacap), Carlos Alberto Spies, serão executados os serviços de recuperação das bases de concreto das juntas de dilatação, etapa que precede a fresagem e pavimentação das vias. “Estamos finalizando a primeira etapa da obra, que é a parte externa e estética da ponte. Depois, faremos um reforço interno na ponte com fibra de carbono, para que, posteriormente, seja feita a protensão [técnica utilizada para aumentar a resistência do concreto] dos cabos internos, o que nos ajuda a garantir mais 50 anos da ponte em funcionamento”, pontua Spies. [Relacionadas esquerda_direita_centro=”direita”] ?A partir das 20h de sexta-feira (25), o trânsito na ponte será totalmente interditado para a execução de serviços de fresagem, recapeamento asfáltico, demarcações de faixas horizontais e instalação de tachões. A medida vale até as 5h de segunda-feira (28), quando os carros voltarão a transitar nas três faixas da estrutura. Desenhada por Oscar Niemeyer e construída em 1976, a Ponte Honestino Guimarães está em obras desde o segundo semestre de 2021. O investimento de R$ 13,7 milhões prevê o reforço das estruturas, a modernização da iluminação e a reforma das passarelas, além da construção de outra passagem para pedestres sob a ponte, na cabeceira localizada no Lago Sul. Entenda ? 22 de agosto: liberação da faixa central e interdição da faixa lateral direita, sentido Plano Piloto-Lago Sul; ? 25 de agosto: 20h – interdição total da ponte para os serviços de fresagem, recapeamento asfáltico, demarcações de faixas horizontais e instalação de tachões; ? 28 de agosto: 5h – liberação total da ponte.

Ler mais...

Thumbnail

Marginal norte do Túnel de Taguatinga interditada para reforma

A marginal norte do Túnel de Taguatinga será interditada para reforma no pavimento. A via fica ao lado do boulevard da estrutura viária e conecta a Estrada Parque Taguatinga (EPTG) à Avenida Comercial. O fluxo de carros e ônibus no sentido Plano Piloto-Ceilândia será desviado para o corredor exclusivo para BRT, situado na parte superior do túnel. A transferência de tráfego começará assim que for finalizada a pavimentação nas faixas de rolamento dedicadas ao transporte público coletivo, processo iniciado nesta terça-feira (18). Antes da aplicação de pavimento rígido, o trecho de cerca de 150 m passou por terraplanagem e compactação. Novo trecho já passou por terraplanagem e compactação; quando a pavimentação for concluída, começa o desvio de tráfego | Fotos: Tony Oliveira/Agência Brasília Com o desvio, ao entrar em Taguatinga, os carros e ônibus seguirão pela pista exclusiva até a altura da Avenida Comercial e depois retornarão para a marginal norte do túnel até a Samdu Norte. [Olho texto=”“Em breve, devemos liberar o acesso vindo de Ceilândia para o Plano Piloto entre a Samdu e a Comercial. Hoje já temos liberado o trecho entre a Comercial e o Pistão Sul”” assinatura=”Luciano Carvalho, secretário de Obras” esquerda_direita_centro=”direita”] Na marginal norte do Túnel de Taguatinga será executado o recapeamento do pavimento e a reforma de calçadas e acessibilidade. O trabalho já foi concluído na marginal sul da estrutura viária. O trecho foi liberado no dia 1º deste mês para o tráfego de carros e motos vindos de Ceilândia rumo ao Plano Piloto. De acordo com o secretário de Obras, Luciano Carvalho, desvios e liberações em etapas fazem parte do processo de conclusão da obra. “É um passo a passo; temos uma sequência de trabalho porque não podemos atropelar as etapas”, aponta. “Em breve, devemos liberar o acesso vindo de Ceilândia para o Plano Piloto entre a Samdu e a Comercial. Hoje já temos liberado o trecho entre a Comercial e o Pistão Sul”. Para o secretário de Governo, José Humberto Pires, os maiores beneficiados são os motoristas e pedestres. “Tem um impacto muito forte no dia a dia da população, da comunidade de uma maneira geral, de todos os que moram na região e usam o sistema viário para trafegar de um lado para outro”, pontua. “A parte final da obra é a liberação da travessia plena do túnel nos dois sentidos, mas, enquanto isso, a obra está sendo entregue e liberada na medida em que fica pronta”. Maior obra viária em andamento no país, o Túnel de Taguatinga mobilizou R$ 275 milhões em investimento, oriundos de financiamento firmado pelo Governo do Distrito Federal e a Caixa Econômica Federal. Serão beneficiados 137 mil motoristas.

Ler mais...

Thumbnail

Trecho da ESPM será interditado na terça-feira (9)

Brasília, 7 de agosto de 2022 – Em função das obras na Estrada Parque Setor Policial (ESPM), uma faixa da via, na bifurcação entre o acesso ao Eixo W e o acesso ao Eixão, sentido aeroporto, será interditada, nesta terça-feira (9), até o final da obra, em setembro. A ação é necessária devido à alteração da entrada do canteiro de obras. Durante a interdição, uma faixa permanecerá livre. “Outro motivo é a liberação, no mesmo dia 9, do fluxo de veículos no viaduto 63, concluído recentemente. O trânsito passa muito perto da atual entrada do canteiro. Ou seja, até para evitar mais impactos para os motoristas, vamos alterar a entrada do canteiro e concentrar a circulação das máquinas e veículos pesados no viaduto 62”, explicou Ricardo Terenzi, subsecretário de acompanhamento e fiscalização de obras do GDF. [Olho texto=”A ação será sinalizada com placas, defensa de concreto e placas refletivas para a segurança de todos” assinatura=”” esquerda_direita_centro=”direita”] O trecho bloqueado tem cerca de 150 metros de extensão e terá início na bifurcação do Eixo 62 com o Eixo 63. Dessa forma, os motoristas que vêm da via Setor Policial Militar e acessam a via que vai para o Eixo W Sul (Eixo 62), com velocidade máxima permitida de 60 km/h, devem ficar atentos a possíveis impactos no trânsito. A ação será sinalizada com placas, defensa de concreto e placas refletivas para segurança de todos. Além disso, a interdição contará com apoio e monitoramento por parte do Departamento de Trânsito do Distrito Federal (Detran-DF). Com a conclusão dos viadutos 62 e 63, os serviços se concentram na complementação do sistema viário da ESPM até o Terminal Rodoviário da Asa Sul (TAS), com a pavimentação do novo trecho. “Atingimos a marca de 80% da obra concluída. Na etapa final, temos um trecho pequeno de escavação e o resto é pavimentação. A meta de setembro é factível e, em breve, os condutores terão mais facilidade para circular pela região”, detalhou Luciano Carvalho, secretário de obras. Arte: Secretaria de Obras DF *Com informações da Secretaria de Obras do DF

Ler mais...

Thumbnail

Investimento de R$ 6,4 milhões deixará novo trecho da DF-463

O Departamento de Estradas de Rodagem do Distrito Federal (DER/DF) dará início nesta quarta-feira (6) aos serviços de melhoria asfáltica da DF-463. A obra beneficiará cerca de 30 mil motoristas que trafegam diariamente pela rodovia. O investimento é de R$ 6,4 milhões e a previsão é que todo o serviço seja executado em 120 dias. Para início do trabalhos, o DER-DF programou o bloqueio de uma das três faixas de rolamento da rodovia, a partir das 9h desta quarta. A interrupção do tráfego será na faixa localizada à esquerda da DF-463, no trecho entre São Sebastião e o entroncamento com a DF-001, na subida de São Sebastião para o Plano Piloto. O tráfego de veículos no local será liberado em três semanas. Além da fresagem – retirada de excessos no asfalto da rodovia –, serão executados os trabalhos de reciclagem da base, sinalização, pintura, drenagem e obras complementares ao longo de toda a DF-463, que possui extensão de 3,9 km. Confira na imagem o trecho que será interditado: Arte: DER-DF *Com informações do Departamento de Estradas de Rodagem do DF  

Ler mais...

Thumbnail

Avanço em obra no viaduto da Epig causa interdição na Avenida das Jaqueiras

Em função do avanço das obras do viaduto da Estrada Parque Indústrias Gráficas (Epig), a Secretaria de Obras e Infraestrutura terá de interditar um trecho de 250 metros da Avenida das Jaqueiras, no Sudoeste, em ambos os sentidos. O trajeto alternativo da via entra em funcionamento na sexta-feira (10), a partir das 21h. Com a interdição, foram criadas rotas alternativas para entrada e saída no Sudoeste | Imagem: Divulgação/Secretaria de Obras O acesso/saída ao bairro pela Epig ficará indisponível por cerca de 120 dias. Como alternativa, os motoristas podem optar pelo acesso/saída da Quarta Avenida ou a via de acesso às quadras da Octogonal. [Relacionadas esquerda_direita_centro=”direita”] “A ação é necessária em função do início da escavação das trincheiras, para implantação do projeto viário e a complementação da rede de drenagem. A movimentação de veículos pesados e máquinas é maior nessa fase da obra, e precisamos tomar algumas medidas de segurança”, explica o subsecretário de Acompanhamento e Fiscalização de Obras, engenheiro Ricardo Terenzi. O secretário de Obras, Luciano Carvalho, lembra que o serviço será realizado da forma mais eficiente possível, para minimizar os impactos no trânsito. “Assim que concluirmos mais esta importante obra, quem trafega pela região terá uma excelente opção de mobilidade”, afirma. Veja mais detalhes das mudanças de trânsito no vídeo abaixo. *Com informações da Secretaria de Obras e Infraestrutura

Ler mais...

Thumbnail

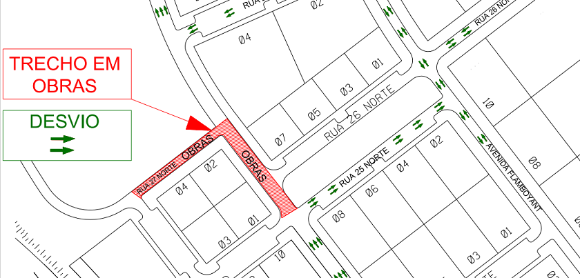
Avenida Castanheiras será interditada no domingo (17)

O trânsito na Avenida Castanheiras, em Águas Claras, será interditado na altura da Rua 27 Norte no próximo domingo (17), das 7h às 19h. A interdição é necessária para que seja realizada a desmontagem de uma grua – um tipo de guindaste – naquela avenida, por parte da empresa Brasília Incorporadora Ltda. [Olho texto=”Agentes do Detran estarão no local para orientar os condutores, controlar o fluxo de veículos e garantir mais segurança aos pedestres” assinatura=”” esquerda_direita_centro=”esquerda”] Durante a interdição, todo o tráfego da Avenida Castanheiras será desviado pela Rua 25 Norte para a Avenida Flamboyant, voltando a fluir normalmente na Avenida Castanheiras a partir da Rua 28 Norte. A partir das 6h, a Diretoria de Policiamento e Fiscalização de Trânsito do Detran fará a implantação da sinalização necessária. Agentes do Detran estarão no local para orientar os condutores, controlar o fluxo de veículos e garantir mais segurança aos pedestres e demais usuários das vias. O Departamento de Trânsito recomenda aos pedestres e condutores atenção redobrada nas proximidades da obra para evitar acidentes. Arte: Detran-DF *Com informações do Detran-DF

Ler mais...

Fique atento às alterações do trânsito na área central

Os motoristas que costumam trafegar pelo centro de Brasília devem ficar atentos: a Esplanada dos Ministérios continua fechada para o trânsito de veículos e só deve reabrir depois do fim das manifestações sociais marcadas para este feriado em comemoração à Independência do Brasil. As vias N2 e S2, que passam nos anexos dos ministérios, estão liberadas para o trânsito de veículos, assim como as demais vias da região central. [Olho texto=”A reabertura das vias será feita após o fim das manifestações e dispersão do público, mediante avaliação de cenário pelas autoridades de trânsito” assinatura=”” esquerda_direita_centro=”esquerda”] O bloqueio vai da alça leste da Rodoviária do Plano Piloto ao 1º Grupamento de Bombeiro Militar (1º GBM), próximo à via L4, nos dois sentidos. A reabertura das vias será feita após o fim das manifestações e dispersão do público, mediante avaliação de cenário por parte das autoridades de trânsito. Os ônibus das comitivas, assim como motocicletas e cavalos – como previsto pelos organizadores – deverão ser deixados no estacionamento da Praça da Cidadania, localizada ao lado do Teatro Nacional. Os demais manifestantes poderão utilizar os estacionamentos da Rodoviária do Plano Piloto (parte superior) e dos setores de Autarquia, Bancário e Comercial. Os condutores deverão estacionar somente em locais permitidos, pois haverá fiscalização por parte dos órgãos de trânsito. Haverá dois espaços para as manifestações. Os manifestantes pró-governo ficarão na Esplanada dos Ministérios. O ponto de encontro será a Biblioteca Nacional. De lá, seguirão pela Esplanada dos Ministérios e poderão chegar até a Avenida José Sarney, na ligação entre as vias S1 e N1. Os monumentos e prédios públicos estarão fechados com gradil e resguardados por policiais. [Olho texto=”O Eixão do Lazer funcionará normalmente. Já a W3 estará aberta para veículos, excepcionalmente nesta terça-feira (7)” assinatura=”” esquerda_direita_centro=”direita”] Já os manifestantes com orientações contrárias ao governo irão se concentrar no estacionamento da Torre de TV, ao lado da Praça das Fontes. De lá, seguirão em caminhada até o Memorial dos Povos Indígenas, onde será feita a dispersão. A PMDF fará a segurança do perímetro e acompanhará todo o trajeto.   A partir das 6h de terça-feira (7), não será possível transitar com veículos da altura da W3 até a Funarte, no Eixo Monumental – nas vias N1 e S1. O trecho será destinado para os manifestantes com orientação contrária ao governo. Os locais indicados para estacionamento daqueles que seguirem para se manifestar nessa área será o Setor Hoteleiro Norte, Palácio do Buriti e Tribunal de Contas do Distrito Federal e Territórios (TJDFT). Importante lembrar que o estacionamento do Estádio Nacional Mané Garrincha é privativo. O Eixão do Lazer funcionará normalmente. Já a W3 estará aberta para o trânsito de veículos, excepcionalmente nesta terça-feira (7). Policiais militares e agentes do Detran estarão nas ruas para controle e maior fluidez no trânsito. [Relacionadas esquerda_direita_centro=”esquerda”] O fechamento das vias foi determinado pela Secretaria de Segurança Pública do DF (SSP/DF) e das forças de segurança, devido à previsão de um expressivo número de manifestantes na Esplanada dos Ministérios. O objetivo é garantir a segurança dos manifestantes e uma melhor mobilidade à população.

Ler mais...

Thumbnail

Ponte JK vai ser interditada na próxima semana

Devido às obras de manutenção da Ponte JK, o Departamento de Trânsito do Distrito Federal (Detran-DF) fará alterações no trânsito. Na segunda-feira (5) duas faixas da Ponte JK, no sentido Lago Sul, serão interditadas das 22h às 5h. Na terça-feira (06) e na quarta-feira (07) serão interditadas duas faixas no sentido Plano Piloto e o bloqueio ocorrerá no horário das 22h às 5h. O Detran-DF pede que os condutores evitem a região. A via marginal de acesso ao Setor de Clubes Esportivos Sul (SCES) estará com fluxo normal. Durante a interdição da Ponte JK, as equipes de fiscalização do Detran-DF estarão no local para sinalizar a via e orientar os condutores. *Com informações do Departamento de Transito do DF (Detran-DF)

Ler mais...

Via JK será interditada neste domingo (13)

A via JK será interditada no sentido Plano Piloto-Lago Sul, entre 5h e 11h deste domingo (13/12), para a realização da Copa Brasília de Triathlon 2020 – etapa 2. A alteração no trânsito ocorrerá da altura da via L4 até a Estrada Parque Dom Bosco (EPDB). A orientação é que durante esse período os condutores optem por transitar pela Ponte Costa e Silva que estará com duas faixas liberadas no sentido Lago Sul. A sinalização e o controle do trânsito serão realizados pela Polícia Militar do Distrito Federal (PMDF). * Com informações do Detran-DF

Ler mais...

Detran-DF vai interditar trecho no Setor Policial

Devido à obra de revitalização da Estrada Setor Policial Militar (ESPM), a partir da madrugada desta sexta-feira (21), o Departamento de Trânsito do Distrito Federal (Detran-DF) vai bloquear a faixa esquerda da Via ESPM, sentido W3 Sul, no trecho entre o viaduto do Eixo Rodoviário Sul (ERS) e o viaduto do Eixo W (ERW – Sul). A medida, solicitada pela Secretaria de Obras em virtude da realização de escavação do solo na região, visa garantir a segurança dos veículos que circulam na via. A previsão é que a interdição ocorra por 90 dias, no entanto, poderá sofrer alterações conforme o cronograma da obra. Durante esse período, o Detran-DF realizará o monitoramento do trânsito no local.   * Com informações do Detran-DF

Ler mais...

Sinalização do Eixão Sul chega a 90% de conclusão

A obra de revitalização dos 15 km do Eixo Rodoviário (DF-002), no trecho compreendido entre o Trevo de Triagem Norte (TTN) e o Trecho de Triagem Sul (TTS), entrou na fase final no dia 16 de janeiro deste ano. Nesta última etapa está sendo executada a sinalização horizontal da via – pintura das faixas de rolamento e instalação de tachões. Até o momento, o Departamento de Estradas de Rodagem (DER/DF) já executou 90% do serviço no Eixo Rodoviário Sul e 50% no Eixo Rodoviário Norte. Em ambos os eixos a revitalização do asfalto foi totalmente concluída no início deste ano. Todo o trabalho está sendo realizado durante a noite, entre 20h e 5h, para minimizar os transtornos causados na principal e mais movimentada rodovia do DF. Em média, 120 mil veículos circulam pela via diariamente. O serviço contempla também a revitalização de toda a extensão da faixa presidencial no centro da via. O valor total investido nessa obra é de R$23 milhões. A previsão de conclusão total dos trabalhos depende ainda do período chuvoso, que não tem dado trégua. O engenheiro do DER/DF Jarbas Alessandro Martins da Silva, responsável pela obra, esclareceu que não é possível manter o mesmo ritmo dos serviços quando está chovendo. “Estamos tentando concluir o quanto antes a sinalização horizontal, mas o tempo chuvoso está impedindo a execução com maior rapidez, porque a aplicação de pintura não pode ser feito com o pavimento úmido”, explicou. Mesmo com a desaceleração do trabalho, há quem comemore a conclusão da obra, que já está próxima. O estudante de Artes Plásticas do Dulcina de Moraes, Caio Sturzeneker, de 23 anos, passa pelo Eixo Rodoviário diariamente e diz que a revitalização do asfalto melhorou a qualidade da viagem. “A pista ficou bem melhor sem buracos, e vai ficar ainda melhor quando terminarem de sinalizar”, apontou. * Com informações do DER-DF

Ler mais...

DER fará teste de reversão na subida do Colorado

O Departamento de Estradas de Rodagem do Distrito Federal (DER-DF) vai realizar, nesta quarta-feira (4), quinta-feira (5) e sexta-feira (6) um teste de reversão na subida do Colorado, no período de pico da tarde – 16h30 às 19h45. Os motoristas com destino ao Paranoá e Taquari poderão utilizar a faixa da direita da EPIA, na região do Balão do Torto, e seguir pela pista no fluxo normal (conforme croqui abaixo). A medida será monitorada nesses três dias, e caso o resultado seja satisfatório, esta nova operação será adotada até que a obra da Ligação Torto-Colorado (LTC) seja concluída e a pista lateral da Epia Norte (subida do Colorado) seja liberada aos veículos. O objetivo do teste e posteriormente da mudança, caso aprovada, é beneficiar os moradores da região do Taquari, que poderão utilizar o novo acesso a cidade, e também os condutores com destino ao Paranoá. Nesta região circulam, aproximadamente, 50 mil veículos por dia. Histórico de trânsito na região Em 27 de setembro o DER-DF concluiu mais um trecho pronto da obra de Ligação do Torto-Colorado – de 5,2 km de extensão da via marginal entre o Torto e o Colorado, sentido Sobradinho/Brasília – e liberou o trânsito na descida do Colorado. O objetivo com a liberação do fluxo para esta nova via foi desafogar o trânsito de aproximadamente 50 mil veículos que passam pelo trecho todos os dias. Com a liberação, a operação de faixa reversa na descida do Colorado, que era operada pelos agentes do DER/DF pela manhã nos dias úteis, entre 6h e 9h30 foi extinta, sendo realizada somente no período da tarde/noite. * Com informações do DER-DF

Ler mais...

Atenção, foliões: alterações no trânsito durante o Carnaval

O Departamento de Trânsito do Distrito Federal (Detran-DF) realizará controle de tráfego, auxílio à travessia de pedestres e fiscalização de trânsito em diversos eventos durante todo o Carnaval. Os locais de maior concentração e fluxo de pedestres foram levantados pela Unidade de Planejamento de Operações, que elaborou um planejamento específico de intervenções e interdições necessárias à segurança dos foliões. Ao todo, foram realizados planejamentos para 66 eventos carnavalescos. As intervenções serão nos locais onde há necessidade de isolamento de vias para garantir a segurança dos foliões, principalmente no Plano Piloto, Ceilândia, Cruzeiro e Águas Claras, com destaque para os eventos que ocorrerão no Parque da Cidade e no estacionamento do Ginásio Nilson Nelson. Asa Norte Até a terça-feira (25), entre 10h e 23h, acontecerá o Carnaval Praça dos Prazeres, no Setor de Autarquias Norte, atrás do Comércio da 201 Norte. Os agentes destinarão área específica para embarque e desembarque, além de vagas reservadas para táxis, atrás do Banco do Brasil. A expectativa de público é de 5 mil pessoas por dia. Na segunda-feira (24), das 14h às 20h, cerca de 50 mil pessoas devem participar do Baile das Divinas Tetas, que acontecerá no gramado da SQN 207. O Detran auxiliará na travessia de pedestres e fará controle do tráfego para permitir saídas de emergência. No domingo (23) e na terça-feira (25), das 16h às 22h, haverá desfile do bloco Ventoinha na Tesourinha na Comercial da entrequadra 205/206 Norte. Cerca de 900 pessoas são esperadas pelos organizadores. Por isso, nos dois dias de evento, o Detran fechará o acesso ao comércio local tanto pelo Eixo Rodoviário Norte quanto pela rotatória da via L1 Norte para permitir o deslocamento do bloco, previsto para as 17h. Ginásio Nilson Nelson Os agentes também atuarão no evento Carnaval no Parque, que este ano acontecerá na área externa do Ginásio Nilson Nelson, até terça-feira (25) e na ressaca do Carnaval, no sábado (29), sempre das 17h às 3h. Serão montados dois Pontos de Controle de Trânsito: um na altura do Tribunal de Contas do Distrito Federal (TCDF) e outro em frente ao ginásio, às margens da via N1. De sábado (22) a segunda-feira (24), a via Contorno do Estádio Nacional de Brasília será colocada em sentido único anti-horário, devido ao fechamento da via N1 pela PMDF, em razão do desfile dos blocos Galinho de Brasília, Raparigueiros e Baratona. Também será implantada área de embarque e desembarque e de estacionamento para táxi nas proximidades do TCDF. Além de auxiliar na travessia de pedestres e na fluidez do trânsito, os agentes estarão de olho em irregularidades de trânsito, principalmente as de estacionamento em local proibido e direção sob efeito de álcool. Setor Comercial Sul De sexta-feira (21) até terça-feira (25), o Setor Comercial Sul receberá o evento Plataforma de Carnaval Setor Carnavalesco Sul. Haverá fechamento das vias entre as quadras 2 e 3 e entre as quadras 3 e 4. A via entre as quadras 1 e 2 não estará interditada, mas terá controle de tráfego e área reservada para embarque e desembarque, estacionamento de táxis e saída de emergência para ambulâncias. Os horários de fechamento serão: das 17h às 0h, na sexta-feira; e das 10h às 0h, nos demais dias. Esplanada dos Ministérios O Complexo do Museu da República receberá eventos carnavalescos no sábado (22) e no domingo (23). O bloco Carnareggae reunirá os foliões no sábado, das 18h30 e 0h30, e o bloco Hip Hop In House festejará no domingo, das 17h às 23. O Detran implantará área de embarque e desembarque em frente à Biblioteca Nacional, às margens da via S1, e destinará área específica para estacionamento de táxis próxima à Biblioteca Nacional. Águas Claras No sábado (22) e no domingo (23), das 14h às 21h, o Bloco da Toca reunirá cerca de 1.000 pessoas para festejar o Carnaval no estacionamento em frente à Rua 14 Norte, em Águas Claras. Não haverá interdição de vias, apenas o fechamento de parte do estacionamento em frente ao Vitrinni Shopping e controle de tráfego. Parque da Cidade De sábado (22) a terça-feira (25), das 14h às 20h, a via do Parque da Cidade funcionará em sentido único anti-horário desde a rotatória do Parque Ana Lídia até a saída para a via S1. Os veículos que circularem no sentido horário serão desviados para a via S1 na rotatória. Os agentes montarão dois pontos de controle de tráfego, na altura do Parque Ana Lídia, próximo às faixas de pedestre da via do Parque e da via S2. As alterações são necessárias para garantir da segurança dos foliões que participarão dos eventos promovidos pelo bloco Portadores da Alegria, no sábado e na segunda-feira, e pelo bloco Baratinha, no domingo e na terça-feira, no estacionamento 12. A expectativa de público é de 32 mil pessoas no bloco Portadores da Alegria e de 100 mil pessoas no bloco Baratinha, que terá apresentação de música ao vivo. No domingo (23) e na segunda (24), o estacionamento 4 do Parque da Cidade receberá o bloco Carnapati, das 8h às 15h. Haverá controle de tráfego, com implantação de área de embarque e desembarque para transporte por aplicativos e estacionamento para táxi, ao longo da via, e faixas para travessias de pedestre. Ceilândia No domingo (23), das 14h às 21h, acontecerá o evento Carnaval de Rua do Bloco Menino da Ceilândia. Os foliões se concentrarão no estacionamento do BRB, na CNM 1, e sairão em desfile pela via que passa em frente à Administração Regional da Ceilândia até o Centro de Ensino Médio 3, de onde retornarão ao ponto de origem. Para isso, os agentes fecharão parte da via N1 entre a Avenida Hélio Prates e a QNM 13, um pouco antes das 17h – horário previsto para o início do deslocamento do bloco e farão o acompanhamento do bloco em todo o percurso. Cruzeiro No domingo (23), das 15h às 21h, o bloco Fio Desencapado reunirá os foliões no estacionamento em frente à Associação Recreativa Cultural Unidos do Cruzeiro (ARUC). Para isso, o acesso à ARUC pela quadra 3 do Cruzeiro Velho ficará fechado durante todo o evento. * Com informações do Detran-DF

Ler mais...

Detran decide implantar faixa reversa na Ponte JK

Depois dos testes realizados na tarde de segunda-feira (17), com a implantação de uma faixa reversa na Ponte JK, no horário de pico, o Departamento de Trânsito do Distrito Federal (Detran-DF) decidiu implementar a alteração a fim de minimizar os impactos do trânsito causados pela obra de manutenção da ponte, realizada pela Novacap. Durante a primeira fase da obra, a faixa reversa funcionará na volta para casa do Plano Piloto para o Lago Sul, em dias úteis, das 17h às 21h, na última faixa da esquerda da pista que funciona no sentido Lago Sul – Plano Piloto. Quando a obra passar para o outro lado da ponte, a faixa reversa será implementada no outro lado da via e pela manhã, das 6h45 às 9h, para atender o fluxo de quem sai do Lago Sul em direção ao Plano Piloto. Os agentes estão realizando mais alguns ajustes no local hoje (18), melhorando a sinalização e fazendo algumas pinturas, para garantir mais segurança e direcionar melhor o fluxo de veículos, dando mais eficiência à faixa. * Com informações do Detran-DF

Ler mais...

Começam nesta quarta (5) mudanças no viaduto da EPTG/EPCT

As mudanças no trânsito da Estrada Parque Taguatinga (EPTG) previstas para serem realizadas na terça-feira (4) foram adiadas para esta quarta (5). Na região, estão sendo realizados serviços de recapeamento do tabuleiro do viaduto. A interdição ocorrerá das 9h às 18h, e os motoristas que circulam pela região devem ficar atentos. Um desvio de 200 metros, na altura do tabuleiro do viaduto, será criado para que o trânsito tenha fluidez em três faixas, sem prejuízo aos condutores. Além disso, as alças do viaduto, para quem circula no sentido Plano Piloto/Taguatinga serão totalmente interditadas. Essencial para a mobilidade do trânsito próximo de Taguatinga, o alargamento do viaduto da EPTG com a EPTC está próximo de ser entregue à população local. Já em fase final, as obras se concentram, no momento, nos serviços de pavimentação. A obra do alargamento do viaduto da Estrada Parque Taguatinga Guará (EPTG) e da Estrada Parque Contorno (EPCT) foi retomada nesta gestão. Os viadutos foram unificados e agora contam com 41,80 metros de largura com 11 faixas, entre 3,5 e 4,0 metros, para a circulação de veículos, sendo cinco faixas no sentido Plano Piloto e quatro faixas no sentido Taguatinga, além de duas faixas centrais para ônibus com largura de quatro metros. As obras custaram aos cofres públicos R$ 5,1 milhões.

Ler mais...

Trânsito na Pista do Jóquei sofre três alterações

Com a proximidade da conclusão da obra de restauração do pavimento asfáltico da DF- 087 – Estrada Parque Vale (EPVL), popularmente conhecida como Pista do Jóquei, o Departamento de Estradas de Rodagem do Distrito Federal (DER/DF) anuncia três alterações importantes no trânsito da via, visando maior segurança tanto dos motoristas quanto dos pedestres. A partir de hoje (3), a velocidade que antes era de 70 km/h passa a ser de 60 km/h. Nestes primeiros 15 dias após a mudança, até que os motoristas se habituem à nova velocidade, não haverá aplicação de multa. Duas outras mudanças referem-se às rotatórias da rodovia. A primeira diz respeito à preferência de passagem, que antes era do motorista da via principal e agora passa a ser do motorista que está fazendo a conversão dos balões. A velocidade permitida nas rotatórias é de 40 km/h. A segunda trata do acesso aos condomínios, que antes era possível através de cruzamento direto pela via, e tornava o trânsito altamente perigoso com a incidência de acidentes graves. Agora, para acessar a marginal, o motorista só poderá fazê-lo pelas rotatórias e através do retorno, que conta com faixa de aceleração e desaceleração. Em toda a via, em ambos os lados, já foram instaladas as novas placas de sinalização e Painéis de Mensagens Variáveis (PMV’s) informando as novas regras. O superintendente de obras do DER/DF, Cristiano Cavalcante, destaca a comodidade que a conclusão da obra trará aos motoristas que trafegam pela via todos os dias. “A restauração do asfalto dessa via vai possibilitar que os moradores pelo menos cinco regiões administrativas, que passam por aqui todos os dias, tenham mais segurança, com um pavimento novo e nova sinalização, além de poder contar com um trânsito mais seguro”, disse o engenheiro.  Andamento dos trabalhos A empresa executora dos serviços está finalizando a sinalização horizontal (pintura das faixas de rolamento), a pintura de 12 faixas de pedestres ao longo da via: seis em cada sentido, situadas próximo às paradas de ônibus e o plantio de grama no canteiro central. O último detalhe será a construção de calçadas também no canteiro central para a passagem dos pedestres até os abrigos de ônibus. A previsão de conclusão total da obra é até o final desta semana. A cozinheira Rosalina de Sousa, 55 anos, que trabalha em umas das casas de um condomínio da região, comemora a finalização da obra, e destacou as melhorias no local. “Acho muito importante a pintura de faixas de pedestres, que antes aqui não tinha e a gente precisava passar correndo pelas pistas. Agora além das faixas também vai ter calçadas, o que é muito bom! Em tempos de chuva as calçadas faziam muita falta”, declarou. Histórico da obra A obra, que teve início em maio de 2019 ao custo de R$6,2 milhões, compreende os serviços de restauração de 3 km de asfalto, além de colocação de meios-fios, gramagem e construção de calçadas no canteiro central, sinalização horizontal (pintura das faixas de rolamento e de passagem de pedestres) e vertical (instalação de placas), readequação geométrica de um balão e a construção de outros dois, que dão acesso aos condomínios às margens da rodovia. A obra é executada na rodovia que liga a DF-095 – Estrada Parque Ceilândia (EPCL) e a DF-085 – Estrada Parque Taguatinga (EPTG), por onde passam, aproximadamente, 50 mil motoristas por dia das cidades de Vicente Pires, Águas Claras, Guará, Taguatinga, Ceilândia e Estrutural.

Ler mais...

Eventos alteram trânsito neste fim de semana

Devido a eventos esportivos e de pré-carnaval que ocorrerão no Fim de semana, o Departamento de Trânsito do Distrito Federal fará intervenções no trânsito em algumas vias do Recanto das Emas, Samambaia, na Orla da Ponte JK e no Jardim Botânico. Sábado (1) Caminhada contra o Feminicídio Em Samambaia, entre  6h e 12h, ocorrerá a “Caminhada contra o Feminicídio”. O evento terá a concentração em frente ao CEM 414 e o deslocamento pela 1ª Avenida Norte, até o encerramento e dispersão prevista para ocorrer no canteiro central, entre a 206/406. Equipes de fiscalização acompanharão o deslocamento das pessoas, realizando fechamentos eventuais ao longo do trajeto. Caminhada Roda Azul No Recanto das Emas haverá o evento “Caminhada Roda Azul”, das 08h às 10h. O trajeto prevê a concentração na quadra 103 da cidade, o deslocamento pela avenida central, até a rotatória próxima ao Restaurante Comunitário, e o retorno ao ponto de concentração, com apoio das equipes do Detran em todo o trajeto. X Desfile Anual do Bloco Virgens da Asa Norte Na Orla da Ponte JK ocorrerá o evento de pré-carnaval “X Desfile Anual do Bloco Virgens da Asa Norte”, com previsão de 30 mil pessoas. A via próxima à orla localizada no Trecho 02 do Setor de Clubes ficará interditada entre 14h e 21h, para a segurança dos foliões. O Detran realizará controle de tráfego e orienta que os participantes estacionem em locais corretos, e que em razão da pouca oferta de vagas, procurem dar preferência a um transporte alternativo. Haverá fiscalização da Lei Seca nas proximidades. Domingo (2) 1º Desfile Pré Carnaval do Jardim Botânico O evento ocorrerá na Avenida Comercial do Jardim Botânico, com concentração na Feira do Produtor, a partir das 13h. O desfile está previsto para iniciar às 16h, com deslocamento até o bar e restaurante Sai da Toca e retorno ao local de origem. O Detran realizará o fechamento das vias e fará o controle de tráfego. * Com informações do Detran-DF

Ler mais...

Confira as alterações no trânsito do Eixão nesta semana

O Departamento de Estradas de Rodagem do Distrito Federal (DER/DF) deu início, no dia 16 deste mês, à última etapa da obra de rejuvenescimento asfáltico do Eixo Rodoviário (DF-002). Desde então, o órgão vem realizando intervenções no trânsito da região durante os horários de execução dos trabalhos, que acontecem sempre no período noturno, para impactar o mínimo possível o trânsito da via, por onde passam aproximadamente 120 mil veículos por dia. Confira as próximas alterações:  Dias 30/1 (quinta-feira), 31/1 (sexta-feira) e 1°/2 (sábado) – Período: de 20h às 5h. – Serviços: Retirada dos tachões, aplicação de microrrevestimento asfáltico e marcação da sinalização horizontal (pintura de faixas). – Ação– Serão interditados o Buraco do Tatu, o viaduto Camargo Corrêa e os dois sentidos da via do Eixo Rodoviário Sul. – Vias alternativas: Com o fechamento do Buraco do Tatu, os veículos deverão utilizar o Setor de Diversões Sul (atrás do Conjunto Nacional e Conic), para acesso ao Eixo W Sul. O acesso da via S-1 para o Eixo W-sul estará interditado.  Os ônibus com destino ao Eixo W-sul deverão seguir pela via S-1, acessar o primeiro retorno, seguir pela via até a primeira entrada à direita para o Setor Hoteleiro Norte e seguir pelo Setor de Diversões Sul.  (conforme croqui anexo). Com a interdição do Eixo Rodoviário Sul e alças do viaduto Camargo Corrêa, os veículos que vierem da via W1-sul deverão acessar a primeira saída à direita e logo após a alça do Trevo de Triagem Sul, que dá acesso à via L4 sul, seguir adiante e acessar a rodovia DF-004. (conforme croqui anexo). Dia 2/02  (domingo)  – Período: 20h às 5h. – Serviços: retirada dos tachões, aplicação de microrrevestimento asfáltico e marcação da sinalização horizontal (pintura de faixas). – Ação: o Eixo Rodoviário Norte será interditado, nos dois sentidos da via. – Vias alternativas: os eixinhos. *O cronograma poderá ser cancelado ou alterado caso haja episódios chuvosos no local das obras.  

Ler mais...

Alteração no trânsito nesta quarta-feira

Em função de uma manifestação popular marcada para esta quarta-feira (30), parte da via N1 estará fechada para o trânsito de veículos entre 9h e 14h. As três  faixas próximas ao canteiro central, entre o Congresso Nacional e o Teatro Nacional, estarão disponíveis para os manifestantes.  Para garantir a segurança de quem vai protestar e dar melhor fluidez ao trânsito, o Batalhão de Policiamento de Trânsito (BPTran), da Polícia Militar do Distrito Federal (PMDF), fará o acompanhamento e liberação das vias, à medida que os manifestantes passarem.  A concentração ocorrerá no Teatro Nacional. A previsão é que os manifestantes comecem a se movimentar a partir das 10h30. Após descerem pela N1, ficarão concentrados na Alameda Sarney – avenida anterior à Alameda das Bandeiras – e farão a dispersão no local.  “O ideal é utilizar  vias alternativas, como a via N2. De toda forma, a N1 somente será fechada por completo no momento da travessia dos participantes, no início do ato”, explicou o subcomandante do Comando de Policiamento de Trânsito (CPTran), da PMDF, tenente coronel Edvã Sousa  A manifestação será monitorada em tempo real pelas câmeras que ficam na área central. As imagens são enviadas para o Centro Integrado de Operações de Brasília (Ciob), da Secretaria de Segurança Pública do Distrito Federal (SSP/DF). Com informações da Secretaria de Segurança

Ler mais...

Thumbnail

Treinamento para Desfile de 7 de Setembro altera trânsito na Esplanada

O Departamento de Trânsito do Distrito Federal realizará alterações no fluxo de veículos na Esplanada dos Ministérios neste sábado, quando será realizado treinamento para o Desfile de 7 de Setembro. As mudanças acontecerão das 7h30 até a desocupação das vias pelos participantes do evento, previsto para terminar às 12h. Arte: Detran-DF O ensaio ocorrerá na via N1, que ficará fechada desde a via L4 até a via L2 Norte. Os agentes farão o controle de trânsito para garantir a segurança dos participantes e das pessoas que vão assistir ao ensaio, além de assegurar o livre trânsito das viaturas condutoras de autoridades e de apoio ao ensaio. Para isso, as equipes de fiscalização estarão atentas para impedir o acesso à área do desfile pela via S1 e N2, fechando todas as vias de ligação da S1 com a N1, os túneis de acesso da via N2 para a via N1 na altura dos ministérios da Fazenda e das Minas e Energia. O Detran sugere aos condutores que não estiverem indo ao ensaio que evitem passar pela Esplanada dos Ministérios durante a manhã de sábado. Haverá desvio dos veículos para a contramão da via N1 – da altura do Palácio do Planalto até o Pavilhão das Metas, devido ao espaço de cerca de 600m destinado ao posicionamento dos pelotões que desfilarão a pé.  Ainda serão feitas interdições momentâneas no trânsito dos veículos para passagem das tropas, podendo gerar lentidão no fluxo. Os agentes também atuarão para coibir estacionamento em locais proibidos ou que prejudiquem a fluidez nas vias e a segurança nas proximidades do evento. Para isso, serão disponibilizadas viaturas, guincho e empilhadeira durante todo o evento.

Ler mais...

Ordenar

Ordenar

Faceta do tipo

Tipo

Filtro personalizado

Faceta da marca

Marcador